濠滨论坛

点击扫描二维码

查看: 6692|回复: 1

[新闻快讯] 观音山街道社区卫生服务中心建设工程项目(项目名称)已经批准建设

[复制链接]

该用户从未签到

发表于 2025-7-6 17:35 | 显示全部楼层 |阅读模式



崇川区观音山街道社区卫生服务中心建设工程项目勘察设计总承包
招标公告(资格后审、评定分离)

一、招标条件

本招标项目崇川区观音山街道社区卫生服务中心建设工程项目(项目名称)已经批准建设。项目招标人为南通市崇川区卫生健康委员会、南通市崇川区政府投资项目建设中心。建设资金来自区财政,项目出资比例为100%。项目已具备招标条件,现对崇川区观音山街道社区卫生服务中心建设工程项目勘察设计总承包进行公开招标,择优选定单位。

二、工程概况

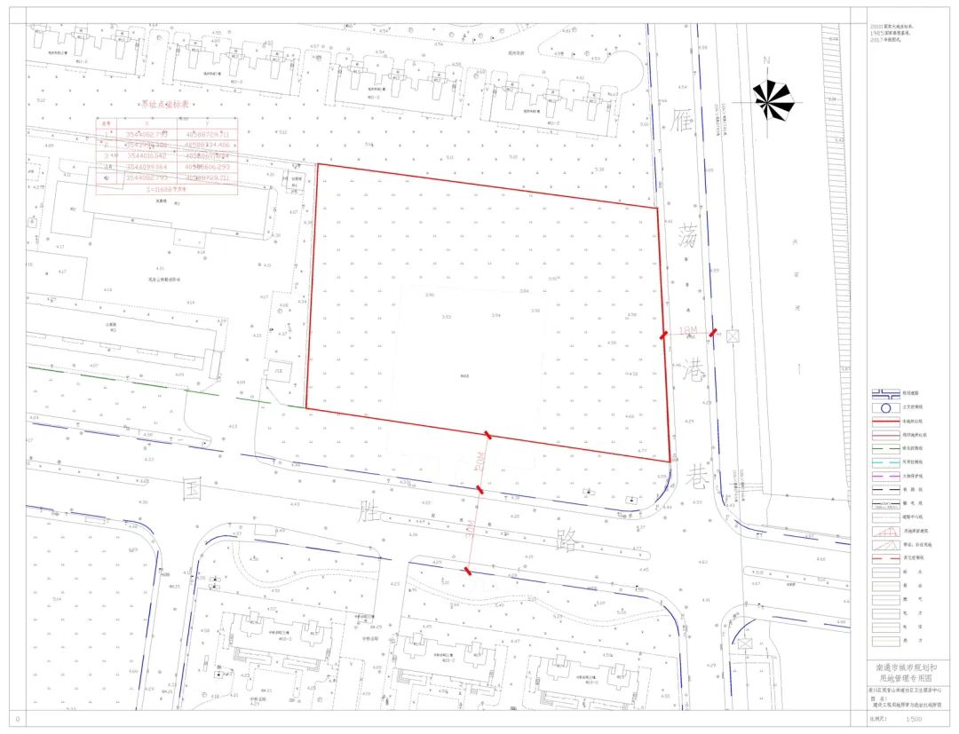
1、 工程地点:东至雁荡港路、西至观音山特勤消防站、南至国胜路、北至观河华府。

2、工程规模:本项目为拟建二级医院,用地面积约11608㎡,总建筑面积约18500㎡(地上12000㎡,地下6500㎡),容积率约1.04,具体以红线规划为准。工程内容为: 急诊、门诊、医技诊室、住院病房及行政后勤用房、停车场及设备用房等,工程总投资估算为1.2亿元。
具体建设内容以招标人最终确认为准。

3、设计周期:100日历天:

(1)自合同签订且设计条件具备之日起30日历天内完成初步规划设计方案(文本深度达到规划部门要求,人防出具初步方案并取得市有关部门认可);

(2)规划部门通过后10日历天内完成规划设计方案(达到方案审查及规划总平公示要求);

(3)方案及规划总平审查完成后15日历天内完成人防设计并通过人防专项审查;

(4)规划设计方案通过论证后10日历天内提交项目扩初设计成果,并通过扩初审查;

(5)扩初审查通过后20日历天内完成管线综合设计、审查;

(6)方案及规划总平审查完成后60日历天内完成施工图深化设计并完成施工图审查;

(7)方案及规划总平通过后90日历天完成内配套工程(含内装、室外景观、标志标线等各个专业)方案及施工图设计并送审,并且须满足审图要求及招标人施工招标的时间要求。
上述节点为涉及主要节点,不含报审及决策所等时间。


来源:南通城建论坛


南通0

该用户从未签到

发表于 2025-7-8 13:20 | 显示全部楼层
这绝对是拿纳税人的钱瞎扔!重复投资浪费!
回复 支持 反对

使用道具 举报

您需要登录后才可以回帖 登录 | 注册

本版积分规则

手机版|无图版|站务联系 | 商务合作 | 平台公约

信息产业部备案:苏ICP备05014191号-1 经营性ICP许可证:苏B2-20110445 苏公网安备 32060202000307号 © 2001-2019 0513.org All Right Reserved.

投诉争议 技术支持:第一互联 GMT+8, 2025-12-6 06:01 , Processed in 0.451902 second(s), 11 queries , MemCache On. 站点统计

快速回复 返回顶部 返回列表