濠滨论坛

点击扫描二维码

查看: 35633|回复: 21

[新闻快讯] 批前公示!崇川区多个地块规划调整

[复制链接]

该用户从未签到

发表于 2023-3-16 16:52 | 显示全部楼层 |阅读模式 来自:江苏
今天
南通市自然资源和规划局
发布三则批前公示
崇川区多个地块规划调整

01

1.jpg



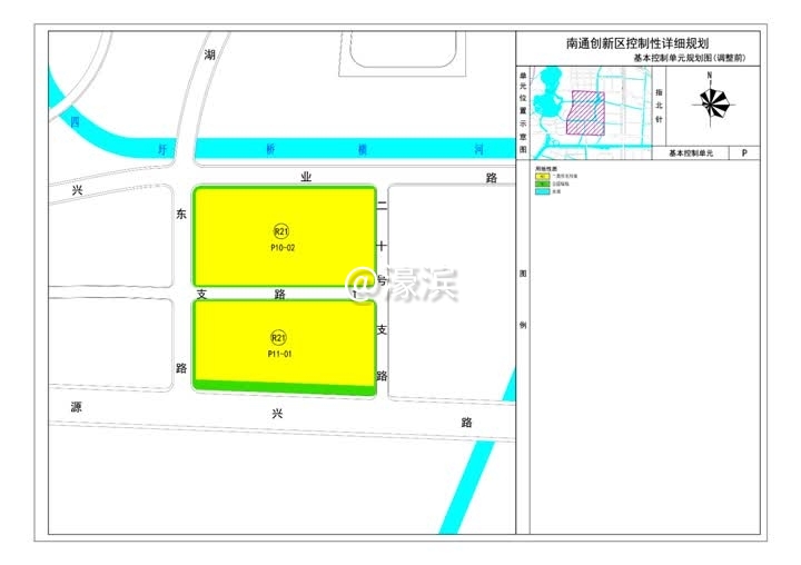
《南通创新区P10-02、P11-01地块控制性详细规划调整》批前公示

  一、调整原因

  《南通创新区控制性详细规划》(以下简称《控规》)已于2017年9月经南通市人民政府批准。该规划自批准实施以来,为城市建设提供了科学的指导依据。因地块深化研究,南通创新区管理办公室提出对《控规》进行调整。

  二、调整内容

  1、取消支路T(湖东路至二十号支路段)。

  2、调整后居住地块(P10-02)指标为:容积率≤1.4,建筑密度≤30%,绿地率≥30%,建筑高度≤30米,同时在地块内增设婴幼儿照护站和居家养老服务站。

2.jpg
3.jpg


02

4.jpg


《南通创新区D9-01、D10-01等地块控制性详细规划调整》批前公示

  一、调整原因

  《南通创新区控制性详细规划》(以下简称《控规》)已于2017年9月经南通市人民政府批准。该规划自批准实施以来,为城市建设提供了科学的指导依据。因地块深化研究,南通创新区管理办公室提出对《控规》进行调整。

  二、调整内容

  1、局部取消科教路(胜利路至崇州大道段)。

  2、取消地块内幼儿园,将科甲路北侧幼儿园由12班调整为15班。

  3、调整后的居住地块(D9-01)指标为:容积率≤1.4,建筑密度≤30%,绿地率≥30%,建筑高度≤30米,同时在地块内增设婴幼儿照护站和居家养老服务站。

5.jpg
6.jpg


03

7.jpg


《南通市崇川区新城区01单元L1-04、05地块控制性详细规划调整》批前公示

  一、调整原因

  《南通市崇川区新城区01单元控制性详细规划》(以下简称《控规》)已于2014年2月经南通市人民政府批准。该规划自批准实施以来,为城市建设提供了科学的指导依据。因地块深化研究,崇川区政府提出拟对《控规》进行调整。

  二、拟调整内容

  1、取消地块之间支路瑞远路(跃龙路至洪临路路段)。

  2、将原商务用地(L1-04)、商业商务混合用地(L1-05)调整为居住用地(L1-04)。

  3、调整后的地块指标为:容积率≤1.6,建筑密度≤28%,绿地率≥35%,建筑高度≤35米。地块内设置文体活动用房、卫生服务站、居家养老服务站、婴幼儿照护站等配套服务设施。

8.jpg
9.jpg
来源:南通市自然资源和规划局 南通0

该用户从未签到

发表于 2023-3-16 18:15 来自手机客户端 | 显示全部楼层 来自:江苏
最后的疯狂
回复 支持 1 反对 0

使用道具 举报

该用户从未签到

发表于 2023-3-16 19:18 来自手机WAP | 显示全部楼层 来自:江苏
那以前的规划的水平不行啊,白拿工资了一群人
回复 支持 2 反对 0

使用道具 举报

该用户从未签到

发表于 2023-3-16 20:36 来自手机客户端 | 显示全部楼层 来自:江苏
道路取消,说明政府没钱造路;地块面积变大,容积率不变,能建更多的房子,开发商利润高了。老百姓面临的是丁字路口,绕道通行。
回复 支持 7 反对 0

使用道具 举报

该用户从未签到

发表于 2023-3-17 01:16 来自手机客户端 | 显示全部楼层 来自:江苏
什么时候把胜利路打通才叫胜利路,现在叫失败路
回复 支持 1 反对 0

使用道具 举报

该用户从未签到

发表于 2023-3-17 07:58 来自手机客户端 | 显示全部楼层 来自:江苏
这个架势,看来公务员要发不出工资了。
回复 支持 1 反对 0

使用道具 举报

该用户从未签到

发表于 2023-3-17 09:19 来自手机客户端 | 显示全部楼层 来自:江苏
13261386888 发表于 2023-03-16 20:36
道路取消,说明政府没钱造路;地块面积变大,容积率不变,能建更多的房子,开发商利润高了。老百姓面临的是丁字路口,绕道通行。

容积率变低了
回复 支持 反对

使用道具 举报

该用户从未签到

发表于 2023-3-17 13:46 来自手机客户端 | 显示全部楼层 来自:江苏
各种商业用地被改成了住宅,而且现在地块密度越来越低,在房价不涨的情况下,高密度住宅价格在持续缩水
回复 支持 1 反对 0

使用道具 举报

该用户从未签到

发表于 2023-3-17 15:29 来自手机客户端 | 显示全部楼层 来自:江苏 移动/数据上网公共出口
很好,希望有品质开发商
回复 支持 反对

使用道具 举报

该用户从未签到

发表于 2023-3-17 17:15 来自手机客户端 | 显示全部楼层 来自:江苏 移动/数据上网公共出口
很好,值得期待
回复 支持 反对

使用道具 举报

头像被屏蔽

该用户从未签到

发表于 2023-3-30 18:19 来自手机WAP | 显示全部楼层 来自:江苏
提示: 作者被禁止或删除 内容自动屏蔽
回复 支持 反对

使用道具 举报

头像被屏蔽

该用户从未签到

发表于 2023-3-30 21:31 来自手机WAP | 显示全部楼层 来自:江苏
提示: 作者被禁止或删除 内容自动屏蔽
回复 支持 反对

使用道具 举报

头像被屏蔽

该用户从未签到

发表于 2023-3-30 21:50 来自手机WAP | 显示全部楼层 来自:江苏
提示: 作者被禁止或删除 内容自动屏蔽
回复 支持 反对

使用道具 举报

头像被屏蔽

该用户从未签到

发表于 2023-3-30 22:07 来自手机WAP | 显示全部楼层 来自:江苏
提示: 作者被禁止或删除 内容自动屏蔽
回复 支持 反对

使用道具 举报

头像被屏蔽

该用户从未签到

发表于 2023-3-30 22:20 来自手机WAP | 显示全部楼层 来自:江苏
提示: 作者被禁止或删除 内容自动屏蔽
回复 支持 反对

使用道具 举报

头像被屏蔽

该用户从未签到

发表于 2023-3-31 07:35 来自手机WAP | 显示全部楼层 来自:江苏
提示: 作者被禁止或删除 内容自动屏蔽
回复 支持 反对

使用道具 举报

头像被屏蔽

该用户从未签到

发表于 2023-3-31 07:58 来自手机WAP | 显示全部楼层 来自:江苏
提示: 作者被禁止或删除 内容自动屏蔽
回复 支持 反对

使用道具 举报

头像被屏蔽

该用户从未签到

发表于 2023-3-31 22:29 来自手机WAP | 显示全部楼层 来自:江苏
提示: 作者被禁止或删除 内容自动屏蔽
回复 支持 反对

使用道具 举报

头像被屏蔽

该用户从未签到

发表于 2023-3-31 22:40 来自手机WAP | 显示全部楼层 来自:江苏
提示: 作者被禁止或删除 内容自动屏蔽
回复 支持 反对

使用道具 举报

头像被屏蔽

该用户从未签到

发表于 2023-3-31 23:30 来自手机WAP | 显示全部楼层 来自:江苏
提示: 作者被禁止或删除 内容自动屏蔽
回复 支持 反对

使用道具 举报

头像被屏蔽

该用户从未签到

发表于 2023-4-1 07:39 来自手机WAP | 显示全部楼层 来自:江苏
提示: 作者被禁止或删除 内容自动屏蔽
回复 支持 反对

使用道具 举报

该用户从未签到

发表于 2023-4-1 09:21 | 显示全部楼层 来自:江苏
吃香太难看了,到时候一个炸弹都没了。
回复 支持 反对

使用道具 举报

您需要登录后才可以回帖 登录 | 注册

本版积分规则

手机版|无图版|站务联系 | 商务合作 | 平台公约

信息产业部备案:苏ICP备05014191号-1 经营性ICP许可证:苏B2-20110445 苏公网安备 32060202000307号 © 2001-2019 0513.org All Right Reserved.

投诉争议 技术支持:第一互联 GMT+8, 2025-12-30 04:09 , Processed in 0.245218 second(s), 15 queries , MemCache On. 站点统计

快速回复 返回顶部 返回列表