濠滨论坛

点击扫描二维码

查看: 81044|回复: 40

[随便港港] 市区滨江将建一所幼儿园,太美了!

  [复制链接]

该用户从未签到

发表于 2020-5-5 15:45 | 显示全部楼层 |阅读模式
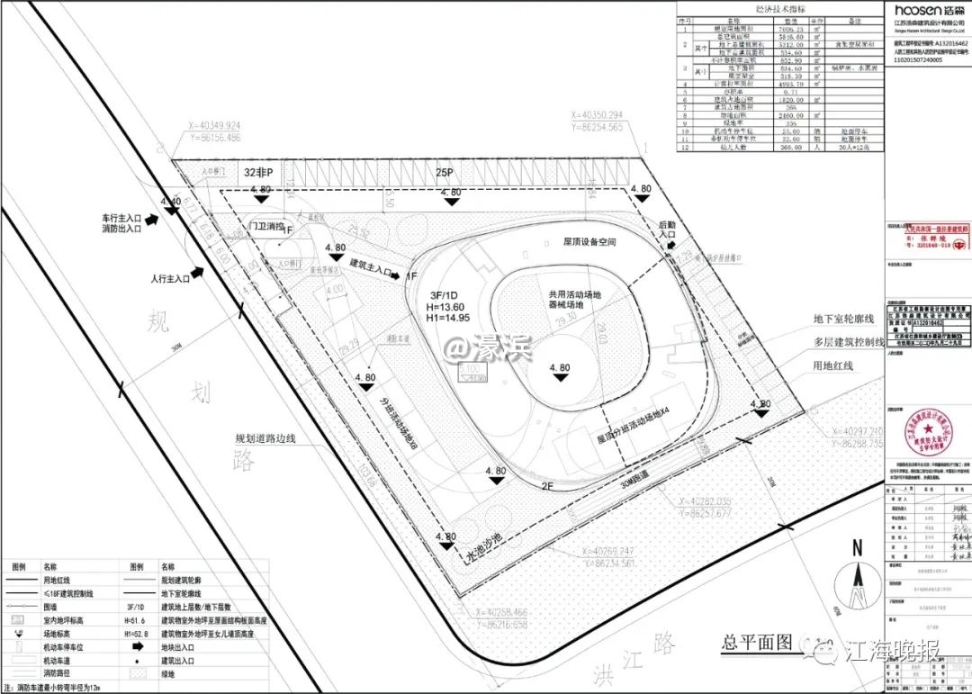
南通市行政审批局近期公布

滨江地块配套幼儿园工程项目

批前公示

175614385f3233a23e89e00c810f4a27.jpg


批前公示

南通市崇川区教育体育局委托江苏浩森建筑设计有限公司编制完成滨江地块配套幼儿园工程项目的规划方案,并将该方案送我局组织审批。为体现规划行政审批的公开、公正和透明性,体现规划管理的公众参与,我局现将建设单位报送的滨江地块配套幼儿园工程项目总平面规划方案进行审批前的公示,以听取公众意见。公示时间自2020年5月1日起至2020年5月10日止。相关利害关系人对此方案有合理化意见或建议,请以书面的方式提交南通市行政审批局规划审查处。为便于我局进行答复,书面建议请提供通讯地址、联系人及联系电话。
相关利害关系人对该地块建设同时享有要求听证的权利,若要求进行听证,须在公示结束前向南通市行政审批局提出书面申请。          联系电话:59001053
联 系 人:卞先生
通讯地址:工农南路150号裙楼二楼241室
2020年5月1日
862d97d0a320d20dac6d1f9d98a0dfcd.jpg
滨江地块配套幼儿园效果图

《批前公示》显示,滨江地块配套幼儿园位于洪江路附近,为地上三层,地下一层建筑,屋顶配备幼儿活动场地。总建筑面积5846.6平方米,幼儿人数30人*12班,360人。

e6bd0d12d4bfd056ca46c2c1742114f4.jpg
这么美的幼儿园
太期待啦!
来源:市行政审批局



南通0

该用户从未签到

发表于 2020-5-5 15:59 来自手机客户端 | 显示全部楼层
看不清,地址哪里
回复 支持 反对

使用道具 举报

该用户从未签到

发表于 2020-5-5 16:12 来自手机客户端 | 显示全部楼层
肯定不是公立的
回复 支持 2 反对 0

使用道具 举报

匿名
发表于 2020-5-5 17:38 来自手机客户端 | 显示全部楼层
提示: 作者被禁止或删除 内容自动屏蔽
回复 支持 2 反对 0

使用道具 举报

该用户从未签到

发表于 2020-5-5 17:44 来自手机客户端 | 显示全部楼层
还没建呢,咋看出来美的
回复 支持 3 反对 0

使用道具 举报

该用户从未签到

发表于 2020-5-5 18:32 来自手机客户端 | 显示全部楼层
配套先行,以后房子才好卖。
回复 支持 2 反对 0

使用道具 举报

匿名
发表于 2020-5-5 18:35 来自手机WAP | 显示全部楼层
提示: 作者被禁止或删除 内容自动屏蔽
回复 支持 反对

使用道具 举报

该用户从未签到

发表于 2020-5-5 18:37 来自手机WAP | 显示全部楼层
好像是一附的幼儿园,去年就听说了。
回复 支持 1 反对 0

使用道具 举报

该用户从未签到

发表于 2020-5-5 19:01 来自手机WAP | 显示全部楼层
jyflower 发表于 2020-5-5 18:32
配套先行,以后房子才好卖。

看出来了又是三中高中部 又是一附幼儿园的
回复 支持 2 反对 0

使用道具 举报

该用户从未签到

发表于 2020-5-5 19:26 来自手机客户端 | 显示全部楼层
好地段的新建幼儿园全办成了私立,这是南通崇川特色,教育主管部门出来港港为何
回复 支持 1 反对 0

使用道具 举报

该用户从未签到

发表于 2020-5-5 19:30 来自手机WAP | 显示全部楼层
南通好公子 发表于 2020-5-5 19:01
看出来了又是三中高中部 又是一附幼儿园的

脑子是个好东西,可以你没有
回复 支持 1 反对 0

使用道具 举报

该用户从未签到

发表于 2020-5-5 19:31 来自手机WAP | 显示全部楼层
滨江肯定越来越好
回复 支持 反对

使用道具 举报

发表于 2020-5-5 19:37 来自手机微信 | 显示全部楼层
提示: 作者被禁止或删除 内容自动屏蔽
回复 支持 反对

使用道具 举报

该用户从未签到

发表于 2020-5-5 20:58 来自手机WAP | 显示全部楼层
新城区厉害了
回复 支持 反对

使用道具 举报

匿名
发表于 2020-5-5 21:48 来自手机客户端 | 显示全部楼层
提示: 作者被禁止或删除 内容自动屏蔽
回复 支持 反对

使用道具 举报

该用户从未签到

发表于 2020-5-5 23:48 来自手机WAP | 显示全部楼层
熟悉的套路,不变的卖地,习惯了,起的好看点就行。
回复 支持 反对

使用道具 举报

该用户从未签到

发表于 2020-5-6 05:39 来自手机WAP | 显示全部楼层
准备好足够的钞票
回复 支持 反对

使用道具 举报

该用户从未签到

发表于 2020-5-6 07:12 来自手机WAP | 显示全部楼层
图片仅供参考,产品以实物为准
回复 支持 反对

使用道具 举报

该用户从未签到

发表于 2020-5-6 07:24 来自手机WAP | 显示全部楼层
guoke868 发表于 2020-5-5 21:48
上个幼儿园太难了(园太少),唉,在这个地方建不知道哪年能招满

覆盖高大尚的新城区万豪 绿城 苏建这些的
回复 支持 反对

使用道具 举报

该用户从未签到

发表于 2020-5-6 07:46 来自手机客户端 | 显示全部楼层
要有停车场,下雨天接孩子不好停车。
同时也是公共停车位,上放学时段禁停。
回复 支持 反对

使用道具 举报

该用户从未签到

发表于 2020-5-6 07:50 | 显示全部楼层
投入不小,应该是公办的吧?

回复 支持 反对

使用道具 举报

该用户从未签到

发表于 2020-5-6 08:32 来自手机客户端 | 显示全部楼层
在万濠星城西边高架桥西边
回复 支持 反对

使用道具 举报

该用户从未签到

发表于 2020-5-6 08:37 来自手机WAP | 显示全部楼层
HL0121 发表于 2020-5-6 07:50
投入不小,应该是公办的吧?

那是必须的
回复 支持 反对

使用道具 举报

该用户从未签到

发表于 2020-5-6 08:42 | 显示全部楼层
中创区也需要这样高档的幼儿园
回复 支持 反对

使用道具 举报

您需要登录后才可以回帖 登录 | 注册

本版积分规则

手机版|无图版|站务联系 | 商务合作 | 平台公约

信息产业部备案:苏ICP备05014191号-1 经营性ICP许可证:苏B2-20110445 苏公网安备 32060202000307号 © 2001-2019 0513.org All Right Reserved.

投诉争议 技术支持:第一互联 GMT+8, 2025-12-12 16:52 , Processed in 0.208291 second(s), 14 queries , MemCache On. 站点统计

快速回复 返回顶部 返回列表