濠滨论坛

点击扫描二维码

查看: 21492|回复: 0

[随便港港] “地球史上最凶台风”直击日本?超市被抢空!江苏天气要变!

[复制链接]

该用户从未签到

发表于 2019-10-12 17:24 | 显示全部楼层 |阅读模式 来自:江苏

这两天 超强台风海贝思 还在海上
却已经在网上实力刷屏
尤其是日本网络上
雅虎上推送了一条新闻
让人又又紧张上了
“地球史上最大级别台风?”
0357ef6045d3a983d7e65c6128406513.jpg

虽然完全不能信
那种耸人听闻的标题
但根据正经日媒的报道
这次海贝思的影响确实不可小视
a23325e7e72464fc65c484e3ea5b9455.jpg

之前9月上旬把日本折腾的够呛的
15号台风和这次的海贝思
光体型上的对比就很惊人了
bfd735d90da995dcb9c10172f1bcb1d5.jpg

再把日本和海贝思放一起对比
“……”
你管这玩意叫台风?
8a021b4b9e0bf79763588b527687e5ed.jpg

@中央气象台转发确认
的确是台风
超强台风并连上北边的温带气旋
所以看起来那么大那么恐怖
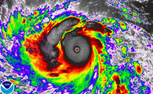
b488947ba34e5ed600749e21e7e1a2b7.jpg

这体型这风眼
吞噬感让人望而生畏
273c2ef9bc26d4223825bbc1ca13b290.jpg

超市和便利店里的货架
全被一扫而空
泡面什么的一个不剩
4f7a86aed4e89e4a3d7385936f706884.jpg 93bb2fe80c71c5eb07e065c13e7fdeb9.jpg 86bd356659e25a189e697b6f4f652a19.jpg 77b72b21956f98a0bd5521e1fc982899.jpg

JR东日本于今天上午称
将在12日~13日实施大范围停运
此外 大量航班也已经被取消
12日和13日上午的航班
受到的影响最大
44eadb412d7f0177d430e97020840047.jpg

昨天上午11时
日本气象厅召开记者见面会
指出本次台风带来的降水量
可能与1958年(昭和33年)的
狩野川台风不相上下

狩野川台风曾于1958年9月27日
在神奈川县登陆
给东海、关东地区造成严重灾害
并造成1269人遇难
e4c7d89bca9d15e75664e8188bcd0405.jpg

2013年风王海燕
以巅峰强度登陆菲律宾
造成菲律宾约6300人死亡
1062人失踪、28688人受伤
6df080d899121e7484fce21039b1fe0c.jpg 2a31c24f03740831feaab02ff6974944.jpg

海燕登陆菲律宾时是其最强的时候
加上菲律宾的防灾能力差
造成了巨大伤亡

但海贝思2次巅峰都已经过去
目前结构已经溃败
出现了明显的减弱
到12日晚登陆日本时将是强台风强度
并不在其巅峰强度

a5cd412c420aecf48f89aef09e47339f.jpg

c84f0451243ec8939baa9a01fe6aab0a.jpg

好在是,海贝思对江苏并没有什么影响。12日,随着冷空气到来,江苏省最高气温又逐渐呈下滑趋势。
近期冷空气活动频繁,昨天冷空气已给华北带来降温,今天开始,又有一股新的冷空气补充影响。北方多地气温,将刷新今年下半年来新低。后期冷空气,也将给长江中下游等地带来降温,下周一我省气温将有所下降。且伴有大风天气,

f460cc42779666b5291bbd2d03de2ecb.jpg

11c017f0ac391595d99aed90e9922458.jpg

有计划去日本玩耍的朋友千万要提高警惕了!

南通0
您需要登录后才可以回帖 登录 | 注册

本版积分规则

手机版|无图版|站务联系 | 商务合作 | 平台公约

信息产业部备案:苏ICP备05014191号-1 经营性ICP许可证:苏B2-20110445 苏公网安备 32060202000307号 © 2001-2019 0513.org All Right Reserved.

投诉争议 技术支持:第一互联 GMT+8, 2025-12-22 19:30 , Processed in 0.197261 second(s), 15 queries , MemCache On. 站点统计

快速回复 返回顶部 返回列表