濠滨论坛

点击扫描二维码

查看: 7425|回复: 0

[焦点爆料] 市区青年中路文峰饭店路段通行有变化

[复制链接]

该用户从未签到

发表于 2019-8-19 11:07 | 显示全部楼层 |阅读模式 来自:江苏
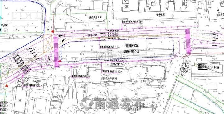
新的一周,上班经过市区青年中路文峰饭店路段的市民一定会注意到车道有了变化。随着轨道交通2号线易家桥站(暂定名)施工推进,从18日起,站点周边交通导改进入一期二阶段,青年中路文峰饭店出入口至文峰新村路段非机动车道和人行道合并为人非混行车道,该路段由西往东方向的两股机动车道分别设置在围挡南、北两侧。
上述路段原有4股机动车道、两股非机动车道和人行道,此次由于施工围挡进一步北扩,交通导改后,机动车道数量没有改变,非机动车道和人行道合并为人非混行道。道路具体情况如下:两股非机动车道分别位于道路的南、北两侧;由东向西机动车道两股,位于道路北侧;由西向东机动车道两股,围挡区域南侧和北侧各一股车道,南侧车道净宽3.5m,北侧车道净宽3.3m。
由于由西往东方向的两股机动车道分别设置在围挡两侧,多数司机依然习惯选择围挡北侧的车道通行,围挡南侧的机动车道几乎无人问津。相关车道已经设置了明显的机动车通行标志,相信随着司机对此次交通导改的日渐熟悉,通行将更加从容自信。据悉,此次疏解道路导改预计持续3个月时间,至2019年11月15日前后结束。
photo_0424_2019-08-19_EMU9HFR375I90424NOS.jpg

南通0
您需要登录后才可以回帖 登录 | 注册

本版积分规则

手机版|无图版|站务联系 | 商务合作 | 平台公约

信息产业部备案:苏ICP备05014191号-1 经营性ICP许可证:苏B2-20110445 苏公网安备 32060202000307号 © 2001-2019 0513.org All Right Reserved.

投诉争议 技术支持:第一互联 GMT+8, 2025-12-25 05:00 , Processed in 0.167961 second(s), 19 queries , MemCache On. 站点统计

快速回复 返回顶部 返回列表