濠滨论坛

点击扫描二维码

查看: 4708|回复: 0

[历史] 考古奥斯卡︱花落谁家:对2016十大考古发现评选的解读

[复制链接]

该用户从未签到

发表于 2017-4-11 10:23 | 显示全部楼层 |阅读模式 来自:北京
【编者按】始创于1990年的全国十大考古新发现评选被誉为“中国考古界的奥斯卡奖”,会集中展示过去一年中国考古最新成果,也会呈现中国考古新理念、方法和技术。由中国文物报社、中国考古学会主办的“2016年度全国十大考古新发现”将于4月12日在京揭晓,澎湃新闻(www.thepaper.cn)“私家历史”栏目借此机会邀请文博考古学界的专家、学者、学生对一些项目稍作介绍,以期更多读者了解考古发掘,为公共考古略尽绵薄。6 u2 h+ y! u6 E- r; y2 K
* l9 N! |2 [2 G" G+ _
一年一度的十大考古新发现评选结果即将揭晓,这几日文物考古界的微信朋友圈,被十大评选项目公众投票刷屏,点击数甚至破天荒地达到了百万。到底哪10项考古新发现会从这25项入围者中脱颖而出,成为关注的焦点。澎湃新闻私家历史栏目编辑向我约稿,让我对这些发现进行点评,并预测一下结果。我的第一反应,就是拒绝,首先学养不足,十大评选项目涵盖的时间段从旧石器到宋元明,而术业有专攻,力所不逮。其次,厚此薄彼,是件得罪人的事情。编辑向我约稿,可能是看中我还算年轻,写起来可能没有那么多顾虑。几番推辞,还是答应下来。下面仅就我比较感兴趣的新发现,从自己熟悉的角度来谈谈,谈不上预测,权当是一种学习过程中的个人解读。) m! y/ J# f+ y9 f+ U
今年入围的旧石器时代考古项目比较多,达到了4项,湖南沅江赤山岛旧石器遗址和西洞庭盆地旧石器遗存、西藏尼阿木底旧石器遗址、宁夏青铜峡鸽子山遗址和贵州贵安新区牛坡洞洞穴遗址。一般来说,每年的旧石器项目会有1项入选,今年入围4项,有1项入选的可能性很大。这几项里,我比较关注的是贵州贵安新区牛坡洞洞穴遗址,它跨越旧石器和新石器时代。贵州考古,前几年发现的土司墓影响较大。贵州的旧石器遗址,主要是洞穴遗址,包括观音洞、岩灰洞、盘县大洞、硝灰洞、马鞍山、穿洞、白岩脚洞、猫猫洞等,除发现有石器、动物骨骼化石外,有的洞穴内还发现有古人类化石。牛坡洞遗址堆积巨厚,可分为5期,延续时间从旧石器晚期到新石器时代,在这么长时间段内的连续堆积,有助于我们了解该地区文化的演变,建立这个地区的年代序列,具有填补空白的作用。而且,第一次在贵州洞穴遗址中发现了蹲踞葬,构成了中国南方早期屈肢葬传统的重要一环。. i- j& D) I+ n1 [

考古奥斯卡︱花落谁家:对2016十大考古发现评选的解读

考古奥斯卡︱花落谁家:对2016十大考古发现评选的解读
贵州贵安新区牛坡洞洞穴遗址(本文图片均来自“文博中国”微信公众号)) e7 f! ]( n, b, B$ K
西藏尼阿木底旧石器遗址也比较重要,属于旷野遗址,距今3万年左右,它是西藏地区目前唯一一处经科学发掘,并且时间明确的旧石器时代遗址。人类如何适应环境变化,在西藏如何扩散生存,各种生业方式如何进入西藏,是学术界关注的热点。近些年有不少以西藏为背景的科技考古论文在国外高等级刊物上发表,一些观点虽引发争议,但相信未来对这个遗址的研究也会产生若干有影响的国际论文。
+ f# ^+ Q, Y8 _- t

考古奥斯卡︱花落谁家:对2016十大考古发现评选的解读

考古奥斯卡︱花落谁家:对2016十大考古发现评选的解读
西藏尼阿木底旧石器遗址出土的石片和石叶
0 @  o/ ~) ^  I5 r作为十大评选的重头戏,今年新石器时代考古项目入围不多,只有4项,但质量很高,都有冲击十大的可能。0 ?/ v: w+ t- j* P+ J
辽宁朝阳半拉山墓地,如无意外,应当为十大。它为红山文化晚期的积石冢墓地,埋葬的人最多,出的玉器也最多,还发现有凸目高鼻的人物形象,与石钺配套出土的柄端饰。层位关系明确,可以完整复原出积石建冢、埋葬和祭祀等活动和堆积过程,红山文化坛、冢、墓这些遗迹现象的关系将更为明晰。石钺、玉璧、玉龙共出,军权、宗教权力似乎在红山文化已经合二为一,让红山文化在中国文明起源中的地位更加凸显。它与辽西牛河梁遗址的关系如何,值得探讨。近年,红山文化的研究已经进行整合阶段,代表性成果是刘国祥先生所著《红山文化研究》,使得我们可以更全面地观察红山文化及其在中国文明起源中的地位,半拉山墓地的发掘,无疑会大大推进红山文化研究的广度和深度。
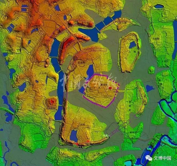
% o4 {1 t& `+ F3 P3 j$ ~$ ^1 P湖北天门石家河遗址,又是一项重大发现,推测也应当为今年的十大。石家河遗址群的发掘始于上世纪50年代,大规模的发掘开始于1987年,北大严文明、荆州博物馆张绪球等先生领导的石家河考古队先后发掘了邓家湾、谭家岭、肖家屋脊等遗址,为北京大学考古系培养了几届考古学生。石家河是有魅力的地方,也是有故事的地方,传奇人物张绪球,后来用各种优厚条件,吸引了大批北大毕业生到荆州博物馆工作。90年代初,北大的赵辉、张驰先生对石家河遗址群进行了详细调查,初步摸清了石家河古城及遗址群的大体布局和文化内涵,确认其为长江中游史前时期最大的城址和遗址群,所撰写的调查报告,成为经典。这之后的石家河考古工作,基本上处于整理资料阶段,很少有十分重大的考古发现。
7 `- e9 R" t% B* m% {4 `8 J沉寂多年后,近两年对石家河印信台、三房湾、谭家岭的发掘,收获巨大,突破了过去的认识。就出土物来说,发现了大批后石家河文化的玉器。之前曾在罗家柏岭、六合、肖家屋脊、枣林岗、孙家岗遗址较大批量发现过5批玉器,其中肖家屋脊发现的最为丰富和精美。这次新发现的大批玉器,达240多件,制作精美,许多造型过去未见,数量和精美程度都超过历次发现。石家河玉器以小而精美为其特点,多发现于瓮棺中,应该是古人衣帽缝缀或佩戴之用,更大型的玉器,也许将来会在祭祀遗址中发现。这次在谭家岭发现了油子岭文化阶段面积20万平方米的城址,早于原来已知的屈家岭-石家河古城,在当时也是长江流域面积最大的古城,说明石家河遗址自公元前3000年以来,就是长江中游古文化的中心,延续了1200多年之久。石家河和良渚,一个位于长江中游,一个位于长江下游,双星闪耀,都应是当时两大古国的都城所在。7 W8 ]' c/ S9 J) O
另外,这次发掘,在印信台发现有大型建筑基址和特殊的套缸遗迹,这处位于石家河古城护城河外的遗址点,让我们对它的性质产生了无限遐想。三房湾和谭家岭地点的堆积和遗迹也是这次发掘的新收获,石家河遗址群的整体面貌开始一点一点更加清晰了。石家河遗址群是中国史前考古的富矿,随着持续不断考古发掘的进行,会不断刷新我们对早期中国古代文明的认识,未来出现四、五次十大考古发现也丝毫不令人感到惊奇。
' g: G" ^0 ~$ e8 I

考古奥斯卡︱花落谁家:对2016十大考古发现评选的解读

考古奥斯卡︱花落谁家:对2016十大考古发现评选的解读
湖北天门石家河遗址核心区城垣布局结构图
. ?+ i  v  X1 M3 ?2 f

考古奥斯卡︱花落谁家:对2016十大考古发现评选的解读

考古奥斯卡︱花落谁家:对2016十大考古发现评选的解读
石家河谭家岭出土虎脸座双鹰玉牌饰, W, D$ G  I# F* v9 Z3 p
南通海兴义遗址,长于发掘方法的创新。这是处贝丘遗址,大量的贝壳堆积,松散是其特点,很容易垮塌。而且兴义遗址深达10米,工地安全和剖面的保存是难题。他们创造性地借鉴建筑工地的围栏做法,用钢架支撑,防止大面积垮塌,辅助以钢丝网围栏,避免贝壳从探方壁上脱落,同时还用水玻璃胶固定剖面。这让我想起早年深圳咸头岭的发掘,曾获过田野考古奖,它是沙丘遗址,用胶水固砂,原理类似,方法各异。这处遗址,发掘面积不大,但收获很多,建立了云南中南部四千年来的年代序列,先后发现了海东类型、兴义类型和滇文化不同时期的相继文化堆积序列,具有填补空白的作用。多学科研究、精细化发掘是其特点,也是云南考古近些年的优势,去年该所举行的考古汇报会,给人印象深刻。$ T) J- d6 t$ z: ]. A' r1 d
四川成昆铁路扩能工程(凉山境)先秦时期聚落遗址群,名字很长,一看就是配合基础设施建设的考古项目。基建考古发掘出现在入围项目中,比较少见,反映了这些年考古界提倡的基建考古要有课题意识得到了成功实践。凉山境内的几处遗址发掘,发现了各种形式的房屋建筑和墓葬,同时建立了安宁河流域新石器时代晚期以来的先秦文化时空框架和文化谱系,具有填补空白的作用。横断山脉地区,南北连接甘青地区和云南及东南亚,东西连接长江流域和青藏高原,是了解这些地区文化互动的关键地区,也是不同生业经济的边缘地区,此地区一直以来是历史人类学和社会人类学学者关注的重要区域,王铭铭称之为“中间圈”。通过对这一区域内考古资料的发掘和解读,考古学因其侧重于长时间段的特点,应该可以在未来作出其人类学理论方面的贡献。" O) s5 Q; Y) ~" `

考古奥斯卡︱花落谁家:对2016十大考古发现评选的解读

考古奥斯卡︱花落谁家:对2016十大考古发现评选的解读
四川羊耳坡遗址A区墓地航拍6 t5 n  T2 w. }/ C3 m: B1 R
夏商周时期和青铜时代的考古发现有6项,但傲视群雄、特别突出的重大发现不多。我个人对新疆伊犁尼勒克吉仁台沟口遗址比较感兴趣。“一带一路”战略下,考古界开始对西部地区的发掘增多,新疆地区各路人马,异彩纷呈。吉仁台沟口遗址是目前在伊犁地区发现最大的青铜时代聚落遗址,有一些发现很惹人关注,比如发现了世界上最早的煤,将人类用煤的历史提前到了距今3600年左右安德罗诺沃文化时期。过去所受教育,宋代手工业和日常生活普遍用煤作燃料,文献记载宋初有人在山西采煤为生,后来发展到官营,文献称煤为石炭。除煤外,还发现与青铜冶炼铸造有关的遗物,两者之间的关系值得注意。新疆考古的特点是地层资料不丰富,以墓地为主,造成文化谱系的建立比较困难,该遗址发现形制独特、规模宏大的房屋建筑和大量遗物,墓葬与房址可以对应起来,有助于完善伊犁河谷地区史前考古学文化序列,同时对了解安德罗诺沃文化这一国际考古学文化的分布范围及在不同地区的特点,增加了一些新材料。$ C1 O* [" ?. M; K' u, ^' \6 |! O

考古奥斯卡︱花落谁家:对2016十大考古发现评选的解读

考古奥斯卡︱花落谁家:对2016十大考古发现评选的解读
新疆伊犁尼勒克吉仁台沟口大型房址F6/ M) `9 h9 }) Y( Q0 B5 Q# {6 N
福建永春苦寨坑夏商原始青瓷窑址,为闽南的原始青瓷和印纹硬陶找到了产地,它的产品在晋江流域广泛使用,与浙江东苕溪流域原始瓷器不是同一生产体系。但有学者认为该遗址的生产体系与浙江同源,而且来自于浙江,但由于福建各个地区的编年体系并没有完整建立起来,闽南、闽北与浙江原始瓷器的关系,以及闽南对华南的原始瓷器和硬陶体系的影响,都还不是十分清晰,需要有更多以编年为基础的工作。: n. v/ ~  R4 _9 R, o9 h% }8 ~

考古奥斯卡︱花落谁家:对2016十大考古发现评选的解读

考古奥斯卡︱花落谁家:对2016十大考古发现评选的解读
福建永春苦寨坑出土的原始青瓷圈足4 o0 [4 u* @1 K; T# u
秦汉考古部分,有3项发现入围,分别是陕西凤翔雍山血池秦汉祭祀遗址、陕西西安汉唐昆明池水系、北京通州汉代路县故城遗址,都很重要,各有侧重点,估计会有1-2项入选十大。过去秦汉考古的重点是墓葬和都城,墓葬方面,去年有海昏侯墓毫无争议地入选十大,今年大型墓葬缺席。这三项都与城址有关,但又有区别,郊祀、水系、县级城址纳入发掘和研究视野,反映了秦汉都城遗址整体布局基本清楚的情况下,秦汉考古关注的问题更加深入。6 j/ `% t4 A0 U* d- T
陕西凤翔雍山血池秦汉祭祀遗址,名字取得好,祭祀加上血池,给大众以丰富的想象,在初评阶段得票第一,众望所归。秦汉考古的文献资料逐渐多起来,很多重要发现可以与文献记载对应。据文献记载,秦先后在雍地建立了包括鄜畤、密畤、吴阳上畤、吴阳下畤的雍四畤祭祀系统。汉承秦制,刘邦在继承秦四畤的基础上增设了北畤,形成完整的雍五畤祭祀五帝系统,并将其作为汉代最高的祭礼。血池遗址可能是专门用于祭祀天地及黑帝的固定场所“北畤”。前些前,在甘肃礼县鸾亭山发现“西畤”的相关遗迹,这次发现,与古文献记载吻合,是时代最早、规模最大、性质明确、持续时间最长,且功能结构趋于完整的国家大型祭祀遗址。现有的材料刚刚公布,还缺乏一个完整的示意图,祭坛的建造和使用过程,值得期待。! g6 R5 c8 c$ J8 R

考古奥斯卡︱花落谁家:对2016十大考古发现评选的解读

考古奥斯卡︱花落谁家:对2016十大考古发现评选的解读
陕西凤翔雍山血池地貌环境与结构布局图. B+ A- G' U" D! z, \; R8 Y
北京通州汉代路县故城遗址,位置是关键。它位于通州未来的北京行政副中心的核心区域,是国家重大战略的一部分,具有政治意义,可以说自带光环。学术意义方面,过去秦汉考古对普通县级行政单位的关注不够,县级城址的行政衙署情况、居民区的情况、市场的情况等等都不十分清楚。路县故城的发掘,有助于开展这方面的研究,而且汉代北地边境的城址,水陆交通要冲,自有其特殊价值。目前的发掘只是一个开头,完整了解路县,还需要更多后续的工作。该发掘区域会建立遗址公园,将会成为城市考古的典型案例。主持发掘者早年毕业于联大,从私心讲,希望这项发掘能够获评十大。
0 h1 C" s. B2 X. w

考古奥斯卡︱花落谁家:对2016十大考古发现评选的解读

考古奥斯卡︱花落谁家:对2016十大考古发现评选的解读
北京通州汉代路县故城遗址平面示意图
! c* {2 R. {/ a3 O6 u' i+ Z昆明池水系,相关发掘成果未来会进入秦汉考古教科书。这是汉武帝时期长安城一项重大水利工程和军事工程,对长安城内的原有布局有一定的影响。这次发掘,确定了昆明池的位置、进出水渠道等内容。有意思的是,在其下部发现有更早的夏商环壕聚落,搞清楚了镐水及周代镐京的东、南边界,就其在商周考古的意义来说,可能更重大,应该分成两个发现来申报。& U1 X. }; [8 `  b2 Y/ v

考古奥斯卡︱花落谁家:对2016十大考古发现评选的解读

考古奥斯卡︱花落谁家:对2016十大考古发现评选的解读
陕西西安昆明池下早期遗存发掘
, D. [. V/ x% P" S  Y$ E: d7 ?魏晋南北朝考古有3项发现入围,分别是河南洛阳西朱村曹魏墓、安徽当涂“天子坟”孙吴墓、山西太原蒙山开化寺佛阁遗址,两处墓葬,一处佛教考古遗址,缺少城址。最值得关注的是“天子坟”孙吴墓,极有可能是东吴太宗景皇帝孙休及其皇后朱夫人之合葬墓,可从文献记载、出土文物的珍贵程度、纪年材料、墓葬结构等来判断,但由于没有直接的文字证据,出于严谨,也吸取曹操墓被质疑的教训,发掘者采用了相对低调的称呼,虽叫“天子坟”,但不说是孙休墓,可谓谨慎。西朱村大墓,它的位置很重要,距离曹魏时期祭天的圜丘不远,与曹操墓的结构和出土文物相似,都出土有石质铭牌,是又一座曹魏时期的典型墓葬。太原蒙山开化寺佛阁遗址,引人注意的是那尊大佛的头部,几年前初次见到照片,十分震惊,这么完整,从没见过,仔细一看明白了,原来是后期修复的。修复后的佛像头部凸出于山顶,很是突兀,当年的佛像头部应该依附于山体中,可能后期破坏和山体崩塌,将佛像所在的山体高度降低。
8 C, }& P4 W( g7 y4 k( r

考古奥斯卡︱花落谁家:对2016十大考古发现评选的解读

考古奥斯卡︱花落谁家:对2016十大考古发现评选的解读
山西太原蒙山开化寺大佛: j0 }& V' n/ n+ \- [
隋唐以后的历史时期,有5项发现入围,2项瓷窑遗址:浙江慈溪上林湖后司岙(ào)唐五代秘色瓷窑址、山西河津固镇宋金瓷窑址,1项矿冶遗址:湖南桂阳桐木岭矿冶遗址,以及内蒙古开鲁金宝屯辽代皇族墓葬和上海青浦青龙镇遗址。2 P- B& ?# ^, J. G: q% V- x
2项瓷窑遗址,很有可能至少有1项进入十大发现,个人比较倾向于上林湖的秘色瓷窑址。秘色瓷的重要性毋庸置疑,也是最为神秘的瓷器种类。唐代法门寺地宫与五代吴越国钱氏家族墓让我们见识了完整的秘色瓷,特别是前者,出土的衣物账明确对应实物,才使得秘色瓷得到确认。但是,秘色瓷秘在哪里,一直是瓷器考古的一个谜团。后司岙唐五代秘色瓷窑址的发掘,终于找到了制作这些瓷器的产地,而且还证明了这是一处贡窑,所制产品一部分用于供应皇宫御用,一部分满足民间使用。这次发掘揭露出一个完整的制作工场,包括龙窑炉、房址、贮泥池、釉料缸等,还清理了5米多厚的废品堆积,完全可以复原出生产的整个流程和工艺,这是十分难得的资料,有些类似于陕西耀州窑对作坊遗迹的发掘,以后可以进行不同窑系间制作工艺和流程的比较研究。发现的瓷质匣钵是过去没有见到的,费工费料,江浙人的精细程度由此可窥一斑。发掘方法也同样值得推广,海量的瓷窑垃圾,是密集症患者的噩梦,如何记录和采集,一直以来是瓷器考古的难点,该遗址九宫格发掘和三维化全纪录方法,代表了新技术对考古发掘技术的促进作用。另外,这次发掘,水陆并进,地空结合,系统调查,重点发掘,全面展示了浙江考古的实力。, p7 w, W5 @1 j  _6 H

考古奥斯卡︱花落谁家:对2016十大考古发现评选的解读

考古奥斯卡︱花落谁家:对2016十大考古发现评选的解读
浙江慈溪上林湖秘色瓷窑址航拍8 @: W# c! [( Y- @, W* M4 b2 ]4 \

考古奥斯卡︱花落谁家:对2016十大考古发现评选的解读

考古奥斯卡︱花落谁家:对2016十大考古发现评选的解读
秘色瓷八棱净瓶
& L1 H2 r- H# Y, Z/ D另一处值得关注的遗址是上海青浦青龙镇遗址,赢在发掘理念上。青龙镇遗址是唐宋港口市镇的典型代表。从小的方面讲,解剖一个市镇麻雀,意义不亚于发掘一处大型皇陵,尤其对于历史记载比较丰富的唐宋时期,更是如此。关注基层民众生活,以社会史考古的角度来发掘和研究,充满浓浓的人文关怀。从大的方面讲,可以证实自古以来上海这个地方就很重要,是贸易、运输的中心,同时也是海上丝绸之路的重要一环。
& o$ n/ S+ |2 p% l我们也要关注最后一项湖南桂阳桐木岭矿冶遗址。近些年来手工业考古,尤其是矿冶遗址的考古工作是当前考古研究的热点。我个人觉得,这个遗址最大的吸引人的地方就是保留下了一整套完整的冶炼设施,好像古代工匠刚刚离开这里似的,这种完整性是考古发掘可遇而不可求的。这个遗址的完整保存使得我们对明清时期炼锌场的布局、结构和功能区分能有一个直接和全面的认识。
7 A$ I  ?/ h+ N7 [: b' T% G

考古奥斯卡︱花落谁家:对2016十大考古发现评选的解读

考古奥斯卡︱花落谁家:对2016十大考古发现评选的解读
桂阳桐木岭遗址功能分区图(由北向南)
  n: ], {5 I9 c# [1 t以上是个人对此次十大考古新发现评选项目充满个人色彩的评论,个人的关注点不同,必然充满偏见。十大发现的结果会有各时间段考古的平衡,也会有各省市地区间分布的考虑。最终的结果还要看4月12号的新闻发布会,由众多学界大佬和前辈,充分讨论,达成共识,可以说这是一次真正的同行评议。有人用考古界的奥斯卡奖来形容全国十大考古发现评选,入围代表提名奖,希望未来可以有更多单项奖项出台,比如最佳领队奖、最佳发掘技术奖、最佳公众关注奖等等,全社会共同关注和参与,方能真正成为公众和文物考古界的一次盛会。                                                                                           

考古奥斯卡︱花落谁家:对2016十大考古发现评选的解读

考古奥斯卡︱花落谁家:对2016十大考古发现评选的解读
考古奥斯卡︱考古系研究生:我预测的2016十大考古发现
3 J( L8 O4 b5 ^/ z9 l微信46万票选出2016十大考古发现,湖北石家河遗址夺魁
% P) J5 a5 C, Q, H2016年度全国十大考古新发现即将揭晓
4 A) r' Z: g( N5 _/ {! F考古奥斯卡︱辽宁朝阳半拉山墓地:墓葬与祭祀分区显著! i; ?5 d5 ^- i( T5 R$ w
考古奥斯卡︱浙江慈溪上林湖后司岙窑址:揭秘秘色瓷兴衰过程
2 e5 U0 d: a5 ]$ F考古奥斯卡︱新疆青河三道海子遗址群:让人重新认识游牧文明南通0

考古奥斯卡︱花落谁家:对2016十大考古发现评选的解读

考古奥斯卡︱花落谁家:对2016十大考古发现评选的解读

考古奥斯卡︱花落谁家:对2016十大考古发现评选的解读

考古奥斯卡︱花落谁家:对2016十大考古发现评选的解读

考古奥斯卡︱花落谁家:对2016十大考古发现评选的解读

考古奥斯卡︱花落谁家:对2016十大考古发现评选的解读

考古奥斯卡︱花落谁家:对2016十大考古发现评选的解读

考古奥斯卡︱花落谁家:对2016十大考古发现评选的解读

考古奥斯卡︱花落谁家:对2016十大考古发现评选的解读

考古奥斯卡︱花落谁家:对2016十大考古发现评选的解读
您需要登录后才可以回帖 登录 | 注册

本版积分规则

手机版|无图版|站务联系 | 商务合作 | 平台公约

信息产业部备案:苏ICP备05014191号-1 经营性ICP许可证:苏B2-20110445 苏公网安备 32060202000307号 © 2001-2019 0513.org All Right Reserved.

投诉争议 技术支持:第一互联 GMT+8, 2025-12-18 07:14 , Processed in 0.272400 second(s), 14 queries , MemCache On. 站点统计

快速回复 返回顶部 返回列表